Datasheet is currently unavailable. Try again or CONTACT US
Datasheet

Human Serum Albumin Antibody

Rabbit Polyclonal

2 References
600-401-033
1 mg
Liquid (sterile filtered)
WB, ELISA, IF, Dot Blot
Human
Rabbit
$1,302.00 /Per Item
Shipping info:

$65.00 to US & $70.00 to Canada for most products. Final costs are calculated at checkout.

Product Details

Anti-Human Serum Albumin (RABBIT) Antibody - 600-401-033
rabbit anti-human serum albumin antibody, rabbit anti-HSA antibody, Analbuminemia antibody, rabbit anti-serum albumin antibody, rabbit anti-albumin antibody
Rabbit
Polyclonal
IgG

Target Details

ALB  - View All ALB Products
Human
Native Protein
Human Serum Albumin
Anti-Human Serum Albumin Antibody was prepared from monospecific antiserum by immunoaffinity chromatography using purified human serum albumin.   Assay by immunoelectrophoresis resulted in a single precipitin arc against anti-Rabbit Serum.  Analysis by SDS-PAGE was used to determine that this preparation is substantially free of aggregates and shows a banding pattern consistent with purified Rabbit IgG.
P02768 - UniProtKB
NP_000468.1 - NCBI Protein
213 - Gene ID

Application Details

Dot Blot, ELISA, WB
IF  - View References
Anti-Human Serum Albumin Antibody has been tested by ELISA, dot blot, and western blot. This product is suitable for the detection of human serum albumin in blood and tissue samples. Antibody is suitable for western blotting to detect a single band of 67 kDa, the expected apparent molecular weight, and for use in ELISA. Researchers should determine optimal titers for applications that are not stated below.

Formulation

1.0 mg/mL by UV absorbance at 280 nm
0.02 M Potassium Phosphate, 0.15 M Sodium Chloride, pH 7.2
0.01% (w/v) Sodium Azide
None

Shipping & Handling

Dry Ice
Store vial at -20° C prior to opening. Aliquot contents and freeze at -20° C or below for extended storage. Avoid cycles of freezing and thawing. Centrifuge product if not completely clear after standing at room temperature. This product is stable for several weeks at 4° C as an undiluted liquid. Dilute only prior to immediate use.
Expiration date is one (1) year from date of receipt.
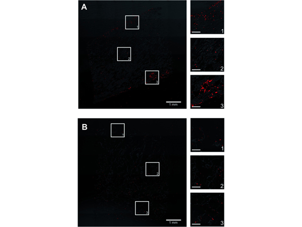
Anti-Human Serum Albumin Antibody detects serum albumin which is the most abundant protein in human blood plasma. Serum albumin is produced in the liver and constitutes about half of the blood serum protein. It is soluble and monomeric, and is shown to transport hormones, fatty acids, and other compounds, buffers pH, and maintains osmotic pressure, among other functions. Albumin is synthesized in the liver as preproalbumin, which has an N-terminal peptide that is removed before the nascent protein is released from the rough endoplasmic reticulum. The product, proalbumin, is in turn cleaved in the Golgi vesicles to produce the secreted albumin. The reference range for albumin concentrations in blood is 3.4 to 5.4 g/dL. Serum Albimin has a molecular mass of 67 kDa. This antibody is suitable for researchers in cardiovascular research, Serum Protein Component research, as well as general research.
(). Assessing the compatibility of primary human hepatocyte culture within porous silk sponges. Rsc Advances
Applications
IF, Confocal Microscopy
(). Primary Human Hepatocytes Maintain Long-term Functions in Porous Silk Scaffolds Containing Extracellular Matrix Proteins. bioRxiv
Applications
IF, Confocal Microscopy

Invalid lot number

If you need help finding your CoA, contact us

This product is for research use only and is not intended for therapeutic or diagnostic applications. Please contact a technical service representative for more information. All products of animal origin manufactured by Rockland Immunochemicals are derived from starting materials of North American origin. Collection was performed in United States Department of Agriculture (USDA) inspected facilities and all materials have been inspected and certified to be free of disease and suitable for exportation. All properties listed are typical characteristics and are not specifications. All suggestions and data are offered in good faith but without guarantee as conditions and methods of use of our products are beyond our control. All claims must be made within 30 days following the date of delivery. The prospective user must determine the suitability of our materials before adopting them on a commercial scale. Suggested uses of our products are not recommendations to use our products in violation of any patent or as a license under any patent of Rockland Immunochemicals, Inc. If you require a commercial license to use this material and do not have one, then return this material, unopened to: Rockland Inc., P.O. BOX 5199, Limerick, Pennsylvania, USA.