Datasheet is currently unavailable. Try again or CONTACT US
Datasheet

BrdU Antibody

Mouse Monoclonal 29G6.E8 IgG1 lambda

4 References
200-301-H50
100 µg
Liquid (sterile filtered)
IHC, IF, Dot Blot, FISH
BrdU, CldU, IdU
Mouse
$522.00 /Per Item
Shipping info:

$65.00 to US & $70.00 to Canada for most products. Final costs are calculated at checkout.

Product Details

Anti-BrdU (MOUSE) Monoclonal Antibody - 200-301-H50
mouse anti-BrdU Antibody, Bromodeoxyuridine, 5-bromo-2´-deoxyuridine, BrdU
Mouse
Monoclonal
IgG

Target Details

BrdU, CldU, IdU
Other
Anti-BrdU monoclonal antibody was produced in mice by repeated immunizations prepared via immunizations with BromodeoxyUridine-KLH followed by hybridoma development.
Anti-BrdU Monoclonal Antibody was purified from ascites fluid by Protein A chromatography. This antibody reacts strongly with BrdU. Cross-reactivity is observed with CldU and IdU.

Application Details

Dot Blot, IF
FISH, IHC  - View References
Anti-BrdU Antibody has been tested immunofluorescence and slot blot assays. Antibody may be suitable for additional immunoassays including flow cytometry and immunohistochemistry. Specific conditions for reactivity should be optimized by the end user. Antibody will detect incorporated BrdU thymidine analog from replicated cells.

Formulation

1.0 mg/ml by UV absorbance at 280 nm
0.02 M Potassium Phosphate, 0.15 M Sodium Chloride, pH 7.2
0.01% (w/v) Sodium Azide
None

Shipping & Handling

Dry Ice
Store BrdU Antibody at -20° C prior to opening. Aliquot contents and freeze at -20° C or below for extended storage. Avoid cycles of freezing and thawing. Centrifuge product if not completely clear after standing at room temperature. This product is stable for several weeks at 4° C as an undiluted liquid. Dilute only prior to immediate use.
Expiration date is one (1) year from date of receipt.
Bromodeoxyuridine (5-bromo-2´-deoxyuridine, BrdU) is a synthetic thymidine nucleoside analog. BrdU is commonly used to allow the detection of growing or proliferating cells in living tissues. During the S-phase of cell division, DNA replication occurs, and BrdU can be incorporated into the newly synthesized DNA by substituting for naturally occurring thymidine. Antibodies specific for BrdU are subsequently used to detect the incorporated BrdU thymidine analog. This highlights cells that were actively replicating their DNA and is suggestive of actively growing cells. Antibody binding usually requires the DNA to be denatured, typically by exposing the cells to acid or heat.
(). The Protein Tyrosine Phosphatase 1B Modulates the Activation of Yes-Associated Protein and Sensitizes to Cytotoxic Chemotherapy in Preclinical Models of Cholangiocarcinoma. Cells.
Applications
IF, Confocal Microscopy
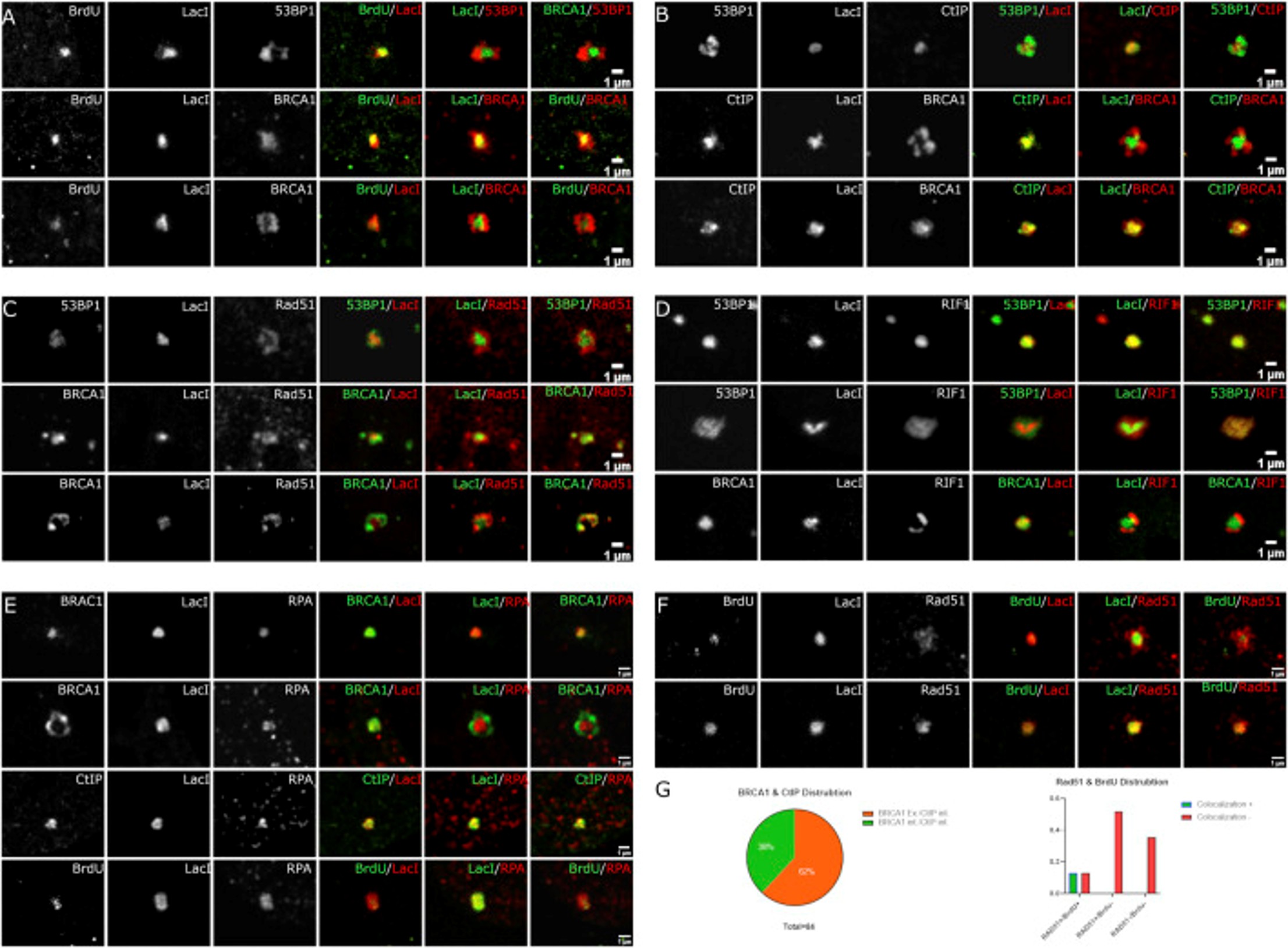
(). Heterogeneity of Organization of Subcompartments in DSB Repair Foci. Frontiers in Genetics
Applications
IF, Confocal Microscopy
(). Cell-Intrinsic Control of Interneuron Migration Drives Cortical Morphogenesis. Cell
Applications
IHC, ICC, Histology
(). Parvovirus Expresses a Small Noncoding RNA That Plays an Essential Role in Virus Replication. Journal of Virology
Applications
IF, Confocal Microscopy; ISH, FISH

Invalid lot number

If you need help finding your CoA, contact us

This product is for research use only and is not intended for therapeutic or diagnostic applications. Please contact a technical service representative for more information. All products of animal origin manufactured by Rockland Immunochemicals are derived from starting materials of North American origin. Collection was performed in United States Department of Agriculture (USDA) inspected facilities and all materials have been inspected and certified to be free of disease and suitable for exportation. All properties listed are typical characteristics and are not specifications. All suggestions and data are offered in good faith but without guarantee as conditions and methods of use of our products are beyond our control. All claims must be made within 30 days following the date of delivery. The prospective user must determine the suitability of our materials before adopting them on a commercial scale. Suggested uses of our products are not recommendations to use our products in violation of any patent or as a license under any patent of Rockland Immunochemicals, Inc. If you require a commercial license to use this material and do not have one, then return this material, unopened to: Rockland Inc., P.O. BOX 5199, Limerick, Pennsylvania, USA.